
By NICK GOSNELL
Hutch Post
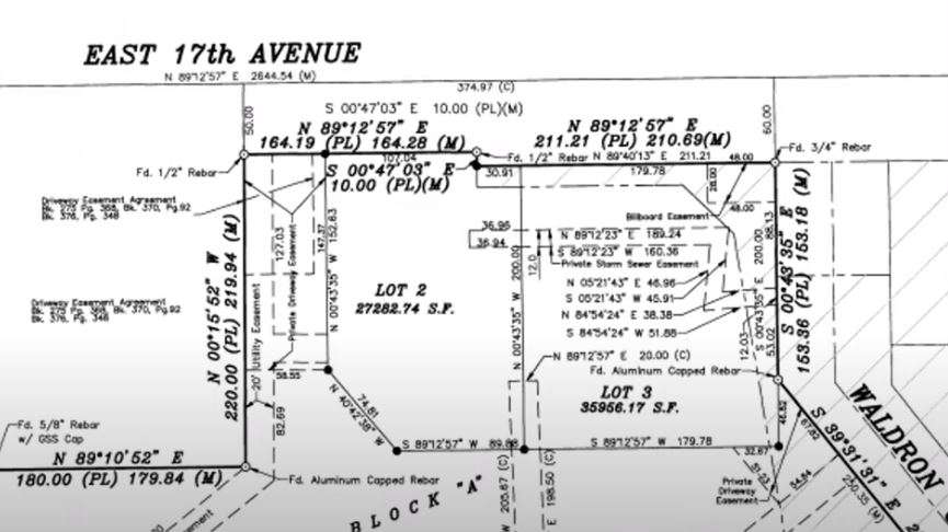
HUTCHINSON, Kan. — The Hutchinson City Council approved a replat of the former Target property at its meeting on Tuesday.
"The purpose of this was to basically take the old Target site and actually break out two out lots for some future development," said city planner Ryan Hvitlok. "Everyone is aware that the former Target is now under the ownership of BOLD, LLC. They are, I believe, in the process of actually getting set up and starting work in there."
The plat had major enough changes that it required City Council approval.
"The other two lots are two out lots there along East 17th," Hvitlok said. "You will see that there are some easements that are run up from the former Target site to serve for future utilities for those sites. Of interest is lot two. This is currently under review, site plan review for a potential Dunkin Donuts/Baskin Robbins. That would be going in on Lot 2. Staff is in the process of reviewing that and should be wrapping up that review here shortly."
The City Council approved the motion unanimously.




